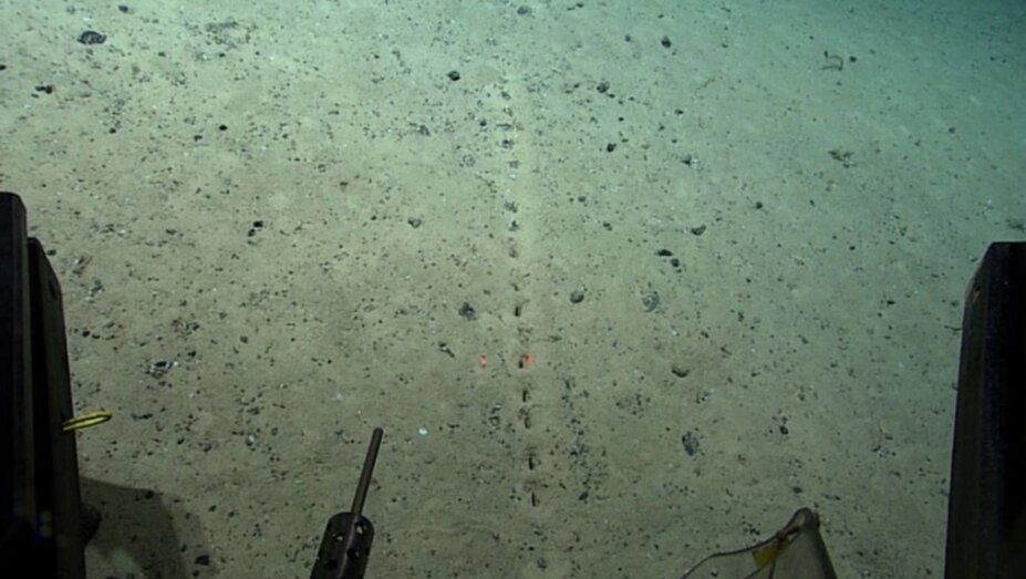
Investigadores de la Administración Nacional Oceánica y Atmosférica (NOAA, por sus siglas en inglés) descubrieron extraña hilera de agujeros en el fondo del mar.
Esto fue dado a conocer en un informe realizado a propósito de la cuarta inmersión y segunda exploración que realizó el Voyage to the Ride 2022.
Proyecto que incluye “operaciones de mapeo e inmersiones con vehículos operados a distancia para recopilar información de referencia sobre áreas inexploradas” del mar.
Según reportan los especialistas, los agujeros se hallaron a 2, 540 metros bajo la superficie a lado de un volcán submarino, cerca de los Azores.
Grupo de nueve islas portuguesas en medio del océano Atlántico a uno 1400 km al oeste de Lisboa.
¿Qué significan la extraña hilera de agujeros que encontraron en el fondo del mar?
De momento no se conoce qué significan o por qué se hicieron esos extraños agujeros en el fondo del mar.
Los científicos de la Administración Nacional Oceánica y Atmosférica (NOAA) mencionan que los hoyos “parecen casi hechos por humanos”.
Sin embargo, “las pequeñas pilas de sedimentos a su alrededor sugieren que fueron excavados”.
El objetivo de esto era ver si estaban “conectados debajo de la superficie del sedimento”.
Razón por la cual los investigadores no han podido determinar cómo pudieron originarse estos agujeros en el fondo del mar que no dejan de ser intrigantes.
El NOAA hizo un llamado, a modo de guiño, para que las personas se aventuraran a mencionar en redes sociales, quién había realizado esos agujeros.
Obtuvieron distintas respuestas. Hubo quien dijo se trataba de extraterrestres, unos más mencionaron era un especie de cangrejo aún desconocido por la ciencia.
Lo cierto es que no es la primera vez que se encuentran extrañas hileras de agujeros en el fondo del mar.
En julio de 2004, durante una exploración a 2,082 metros de profundidad de una expedición a lo largo de la Dorsal del Atlántico Medio científicos hallaron esas peculiaridades marítimas.
Michael Vecchione y Odd Aksel Bergstad, quienes fueron parte de esa expedición sugieren que puede haber un organismo o gran anima que vive en el sedimento o excavación.
Para ellos, la hilera de agujeros en el fondo del mar era una huella de vida que indicaba que algún organismo estaba ahí.
Habrá que esperar a futuras investigaciones para ver si esa hipótesis se comprueba o se deshecha.
INFORMACIÓN: SDPNOTICIAS




